Menu
Městys Jince
městysJince
Městys Jince
městysJince
nahoru

Startuje sezóna lovu dravců

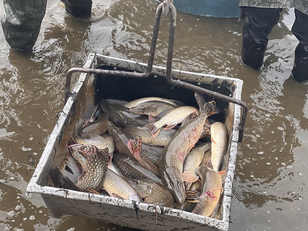
Startuje sezóna lovu dravců 3

Revíry jsou na start této sezóny připraveny.

Startuje sezóna lovu dravců

Dne 15. června 2025 byl zveřejněn v aktualitách webových stránek ČRS, z. s., Středočeského územního svazu článek „Startuje sezona lovu dravců“. Z článku citujeme:

„Od zítra můžeme lovit dravé ryby. Jsme rádi, že letos se nám podařilo už během jara splnit veškeré objednávky z našich MO na dodání tržní štik! Takže revíry jsou na start této sezóny připraveny.

Pozor, ale ne všude můžete na dravce vyrazit! Upozorňujeme, že jsou revíry, kde je v rámci bližších podmínek výkonu rybářského práva (BPVRP) dle § 13 odstavec 10 zákona č. 99/2024 Sb., lov dravců povolený až od 1. 9., proto je nutné věnovat zvýšenou pozornost popisům revírů a vodních ploch.

Jako vždy máme pro lovící několik základních připomenutí:

- Nejmenší zákonná lovná délka sumce velkého je 70 cm, štiky obecné 50 cm, candáta obecného 45 cm a bolena dravého 40 cm.

- Na základě výjimek Krajského úřadu mohou být upraveny i míry ryb. Například u okouna je nejmenší lovná délka v rámci našeho územního svazu určena na 20 cm. Je čím dále více revírů a vodních ploch, kde je okoun loven v režimu CHYŤ A PUSŤ. V rámci jednotlivých revírů či vodních ploch jsou odchylky v nejmenších lovných mírách, například štika 60 cm nebo candát 50 cm či 55 cm.

- Rovněž upozorňujeme na to, že v rámci BPVRP může být někde lov přívlačí povolený až od 1. 9.

- Jak sami z výše uvedeného vidíte, znamená to jediné: Seznamte se vždy s podmínkami rybolovu na revíru či vodní ploše, kde chcete lovit! Mějte na paměti - neznalost neomlouvá!

- Dravé ryby lovíme na položenou, plavanou, vláčením, sumce pak na bójku - tento lov má svá specifika, která je třeba nastudovat, neboť tady by mohly nastat problémy nejenom s rybářskou stráží, ale i z říční policií. Jedná se hlavně o vzdálenost umístění bójky ve vodním toku. Bójka má pak jasně stanovenou maximální velikost, a to 15x15x30 cm, rovněž nesmí být používány pet lahve atd.

- Dalším způsobem lovu dravců, který se v posledních letech rozšířil, je muškaření, při kterém je důležitá vzdálenost mezi lovícími, jež je, stejně jako u vláčení, stanovena na 20 m, pokud se lovící nedohodnou jinak. Právě toto ustanovení není některými bezohlednými lovci dodržováno a vznikají mnohdy konflikty.

- Co se týče počtu úlovků a jejich evidence, jestliže není určeno jinak, můžeme si přisvojit maximálně dva kusy vyjmenované dravé ryby nebo jejich kombinaci, maximálně však do 7 kg. Byla-li osobou, provádějící lov, přisvojena ryba, která přesáhla hmotnost 7 kg, končí denní lov ponecháním tohoto úlovku.

- Při lovu na rybku a její části je třeba brát zřetel na druh a velikost používaných nástražních rybek. Lososovité a chráněné ryby se nesmí používat vůbec, ostatní po dosažení nejmenší lovné délky. Nezapomínejme nástražní rybky poctivě zapisovat, jejich nezapisováním poškozujeme revír, kde je lovíme a zkreslujeme jeho výtěžnost.

V loňském roce bylo do revírů a vodních ploch v rámci celého Středočeského územního svazu vysazeno v různých věkových kategoriích celkem 145 968 ks štik, 121 785 ks candátů, 13 550 ks bolenů a 5 510 ks okounů.

Přejeme hezké zážitky při soubojích s našimi dravci.

SÚS“                                                                                                                 

Výbor ČRS, z. s., MO Jince                                                                                                                                                                                                                                                                                                                                                                                                                              

Datum vložení: 16. 6. 2025 11:32
Datum poslední aktualizace: 16. 6. 2025 12:38
Autor: Správce Webu

Služby a organizace

Mobilní aplikace

Sledujte informace z našeho webu v mobilní aplikaci – V OBRAZE.

Odstávky elektřiny

ČEZ Distribuce - Plánované odstávky

Huť Barbora

Huť Barbora

Vodní hospodářství

Virtuální prohlídka

Kudy z nudy

Kudyznudy.cz – nejlepší začátek výletu

Exporty do RSS

RSS 0.91 RSS 1.0 RSS 2.0 Atom 1.0